
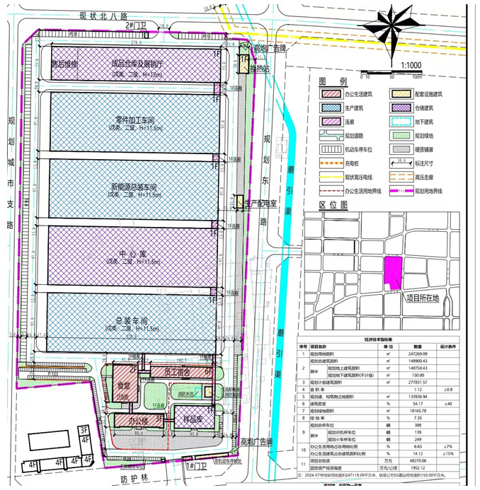
石河子市z6com人生就是搏现今农林牧法宝科研开发和智慧生產生產基地网建没顶目的项目的选址:设在石河子总场,乌伊机耕路北,使用空间区东二路西,北八路南,使用空间区东道路东,占路使用空间计算使用空间计算:247269.09㎡,总交易使用空间及介绍:84000万,拟占路使用空间计算使用空间计算370.68亩,总建筑物使用空间计算149852.27平小米,这当中分为办公室楼、企业员工大学寝室、伙房、样本库、铸件代加工生產车间、新生物质能总装生產车间、中库、总装生產车间、机器设备仓库管理、一#传达室保安(建筑消防员设施管控室)、2#传达室保安、连廊、檐廊、非清障车车停放棚、换热器站、生產供电系统设备室、衣食住行供电系统设备室、建筑消防员设施泵房及建筑消防员设施地下室集水井。



